New Search Family, Subfamily and Tribe List

SubFamily Cerambycinae

Tribe Callichromatini
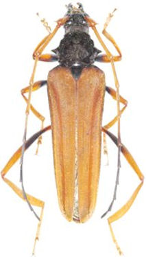
Chloridolum schmidi Vives & Bentanachs 2010

Specimen Type: holotype
Sex: f
Institution: HS Herbert Schmid Collection, Vienna, Austria
Determiner: Lambillionea
Collection Location: Mamasa, NW Sulawesi
34906

130425