_Han_Niisato_Cameron_Highlands_Pahang_W_Malaysia.jpg)
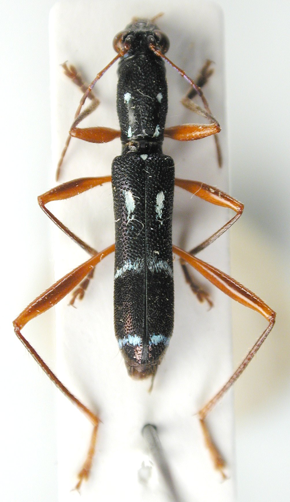
Specimen Type: holotype Sex: m Institution: EELE Entomology laboratory, Ehime University Museum, Matsuyama, Japan Determiner: Spec Bulletin Japanese Society of Coleopterology Collection Location: Cameron Highlands, Pahang, Malaysia 60756
|
_Han_Niisato_Cameron_Highlands_Pahang_W_Malaysia.jpg)
Specimen Type: allotype Sex: f Institution: EELE Entomology laboratory, Ehime University Museum, Matsuyama, Japan Determiner: Spec Bulletin Japanese Society of Coleopterology Collection Location: Cameron Highlands, Pahang, Malaysia 60757
|

Institution: JCPC Jim Cope Collection, San Jose, California, USA now at CSCA, Sacramento Photographer: Larry G. Bezark Determiner: Jim Cope Collection Location: Tana Ratah, Cameron Highlands, Malaysia 99846
|
|