New Search Family, Subfamily and Tribe List

SubFamily Cerambycinae

Tribe Clytini
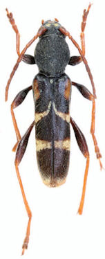
Cyrtoclytus dalatensis Niisato & Kusakabe 2009

Specimen Type: holotype
Sex: m
Institution: NMST National Science Museum (Nat. Hist.), Tokyo, Japan
Determiner: Bulletin of the Japanese Society of Coleopterology
Collection Location: Dalat Highlands, Bao Lac Province, South Vietnam
36338

130425