New Search Family, Subfamily and Tribe List

SubFamily Cerambycinae

Tribe Cerambycini Cerambycina
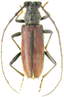
Jupoata divaricata Martins & Galileo 2011

Specimen Type: holotype
Sex: m
Institution: MNKM Museo de Hist Nat Noel Kempff Mercado Santa Cruz de la Sierra, Bolivia
Collection Location: Camiri, Provincia Cordillera, Santa Cruz, Bolivia
30782

130425