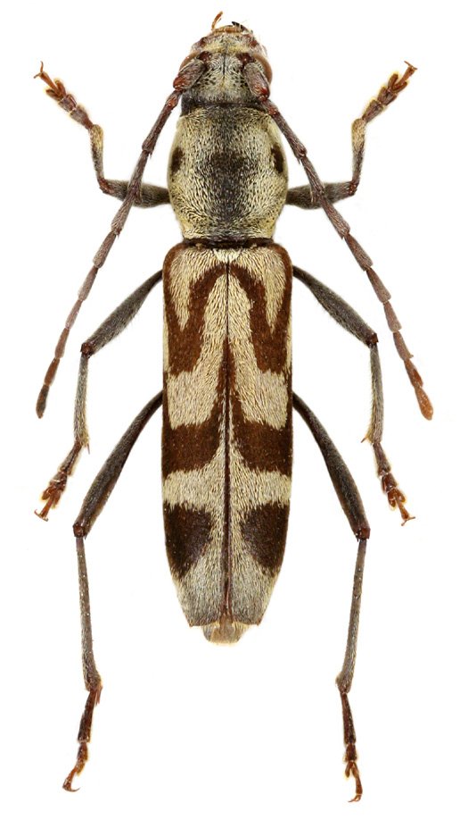
_Gressitt_Rond_BPBM_Nobuo_Ohbay.jpg)
Specimen Type: holotype Sex: m Institution: BPBM Bernice P. Bishop Museum, Honolulu, Hawaii, USA Photographer: Nobuo Ohbayashi Collection Location: Phon Tiou, Khammouane Province, Laos 43344
|
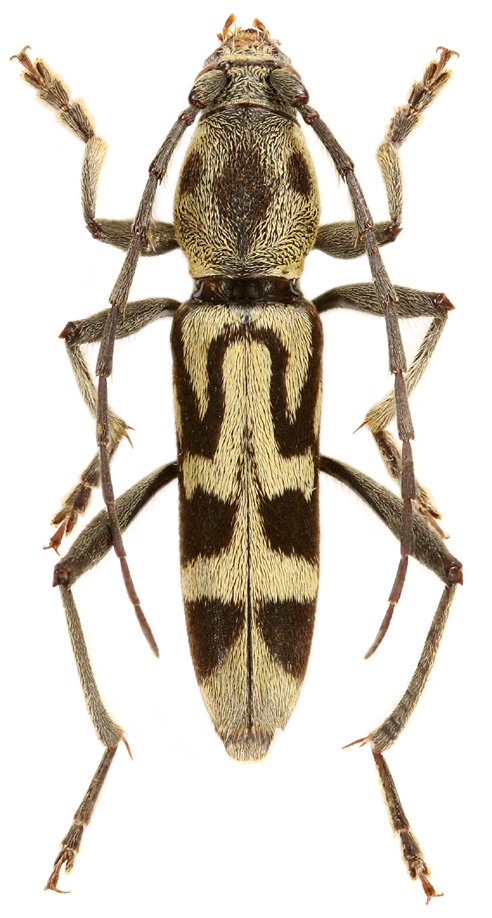
_Gressitt_Rondon_Assam_NE_India_Viktora.jpg)
Sex: f Institution: Viktora Collection Photographer: Petr Viktora Collection Location: Assam, NE India 69554
|
_Gressitt_Rondon_37 km NW Jinghong_S_Yunnan_China_Viktora.jpg)
Sex: m Institution: Viktora Collection Photographer: Petr Viktora Collection Location: 37 km NW Jinghong, S Yunnan Province, China 69555
|
_Gressitt_Rondon_37 km NW Jinghong_S_Yunnan_China_Viktora.jpg)
Sex: m Institution: Viktora Collection Photographer: Petr Viktora Collection Location: 37 km NW Jinghong, S Yunnan Province, China 69556
|
|