_Gressitt_Rond_BPBM_Nobuo_Ohbay.jpg)
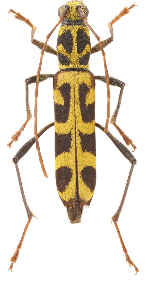
Clytocera luteofasciata Gressitt & Rondon Specimen Type: holotype Sex: f Institution: BPBM Bernice P. Bishop Museum, Honolulu, Hawaii, USA Photographer: Nobuo Ohbayashi Collection Location: Dalat, Vietnam 43302
|

Clytocera luteofasciata Gressitt & Rondon Specimen Type: holotype Sex: f Institution: BPBM Bernice P. Bishop Museum, Honolulu, Hawaii, USA Photographer: Jim Cope Collection Location: Dalat, South Vietnam 35548
|