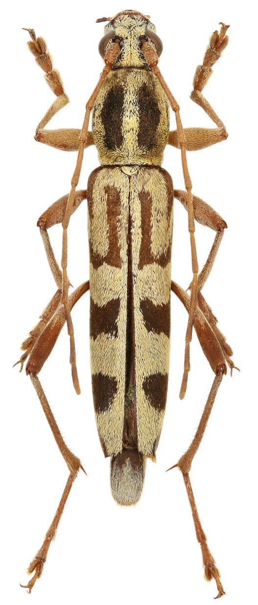
_Gressitt_Rond_BPBM_Nobuo_Ohbay.jpg)
Specimen Type: holotype Sex: m Institution: BPBM Bernice P. Bishop Museum, Honolulu, Hawaii, USA Photographer: Nobuo Ohbayashi Collection Location: Ban Theuong, 18 km NW of Xieng Khouang, Laos 45365
|
_Gressitt_Rondon_Chiang_Rai_Thailand_Viktora_pic.jpg)
Sex: m Institution: Viktora Collection Photographer: Petr Viktora Collection Location: Chiang Rai, Thailand 75085
|