 Pic MNHN Tonkin, Vietnam GC.jpg)
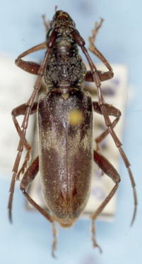
Specimen Type: holotype © MNHN Institution: MNHN Museum of Natural History Paris, France Photographer: Gerard Chemin Collection Location: Tonkin, Vietnam 77162
|

Institution: BPBM Bernice P. Bishop Museum, Honolulu, Hawaii, USA Photographer: Jim Cope Collection Location: Laos 37242
|