_LIPI_LGB.jpg)
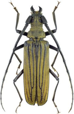
Megopis babai Komiya & Makihara Specimen Type: holotype Sex: f Institution: NMST (at LIPI) Photographer: Larry G. Bezark Collection Location: Berastagi, North Sumatra 43852
|
_(Komiya_and_Makihara)_N_Sumatra_Elytra_2005.jpg)
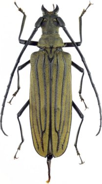
Megopis babai Komiya & Makihara Specimen Type: paratype Sex: m Photographer: Ziro Komiya Determiner: Elytra Collection Location: Northern Sumatra 31190
|
_(Komiya_and_Makihara)_N_Sumatra_Elytra_2005.jpg)
Megopis babai Komiya & Makihara Specimen Type: paratype Sex: f Photographer: Ziro Komiya Determiner: Elytra Collection Location: Northern Sumatra 31191
|

Sex: m Institution: Drumont Collection Collection Location: Kabupaten, Aceh Tengah, Sumatera Island, Indonesia 45641
|

Sex: f Institution: Drumont Collection Collection Location: North Brastagi, Sumatera Island, Indonesia 45642
|