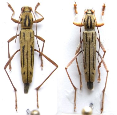
_Holzschuh_FBVA_75.jpg)
Specimen Type: holotype Sex: m Institution: Holzschuh Collection Determiner: Schrift. Forstlichen Bundesversuchsanstalt Collection Location: Nan area, Northern Thailand 60144
|

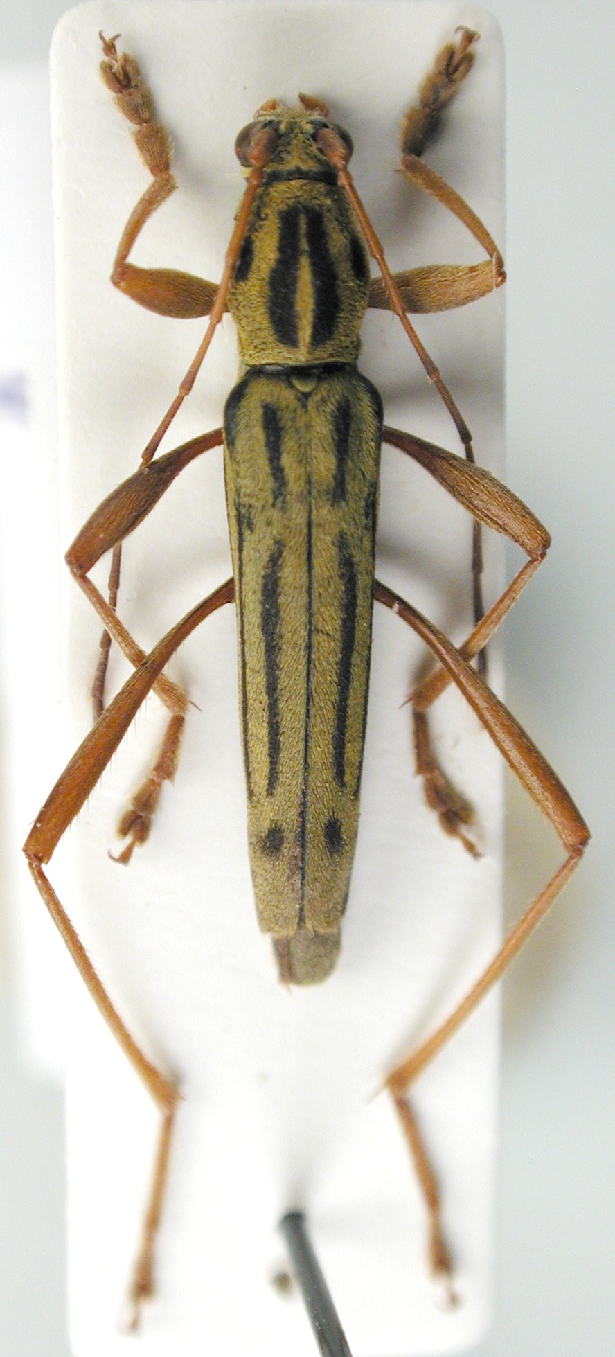
Photographer: Xavier Gouverneur, Cerambycoidea Forum Collection Location: Hua Phan, NE Laos 60145
|

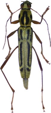
Institution: JCPC Jim Cope Collection, San Jose, California, USA now at CSCA, Sacramento Photographer: Larry G. Bezark Determiner: Jim Cope Collection Location: Mt Phu Pan, Hua Phan Province, NE Laos 99734
|

Photographer: Meiying Lin 43063
|
|