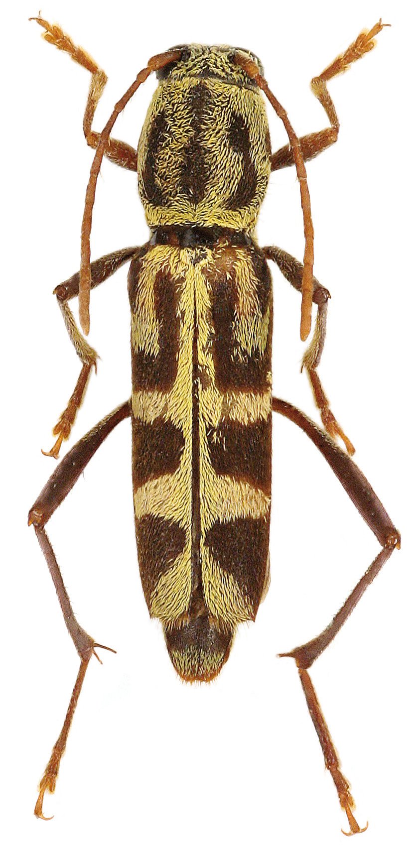
_Holzschuh_FBVA_75.jpg)
Specimen Type: holotype Sex: m Institution: Holzschuh Collection Determiner: Schrift. Forstlichen Bundesversuchsanstalt Collection Location: Nan area, NE Thailand 66870
|
 Holzschuh CPV Yunnan, China.jpg)
Sex: f Institution: Viktora Collection Photographer: Petr Viktora Collection Location: Yunnan Province, China 76624
|