_Holz.jpg)
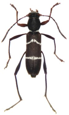
Specimen Type: holotype Sex: m Institution: Holzschuh Collection Photographer: Lubo Dembický Collection Location: Soppong Pai, Northern Thailand 36594
|
_Holzschuh_FBVA_69.jpg)
Specimen Type: holotype Sex: m Institution: Holzschuh Collection Determiner: Schrift. Forstlichen Bundesversuchsanstalt Collection Location: Soppong Pai, Northern Thailand 36593
|