_Holzschuh_FBVA.jpg)
Specimen Type: holotype Sex: m Institution: Holzschuh Collection Determiner: Schrift. Forstlichen Bundesversuchsanstalt Collection Location: Chiang Mai, Doi Pui, Northern Thailand 36969
|
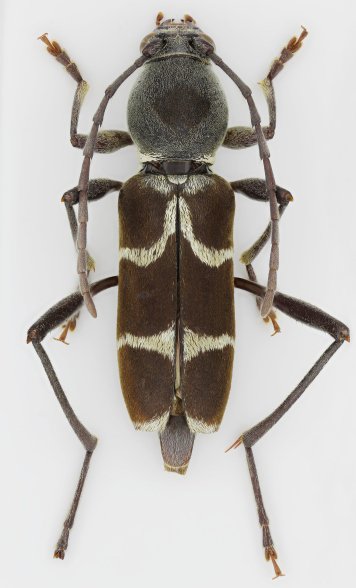
 Holzschuh Chiang Mai, Thailand Viktora coll.jpg)
Sex: f Institution: Viktora Collection Photographer: Petr Viktora Collection Location: Chiang Mai, Thailand 77125
|