_Holzschuh_FBVA_60.jpg)
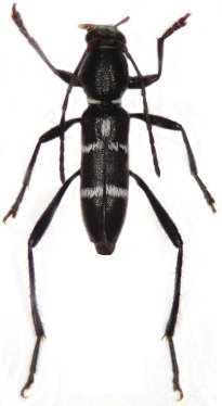
Specimen Type: holotype Sex: m Institution: Holzschuh Collection Collection Location: Chiang Rai, Wiang Pa Pao, Northern Thailand 36955
|

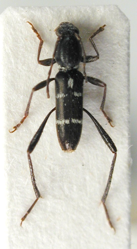
Institution: JCPC Jim Cope Collection, San Jose, California, USA now at CSCA, Sacramento Photographer: Larry G. Bezark Determiner: Ole Mehl Collection Location: Ban Huai Son, Mae Hong, Thailand 98723
|