New Search Family, Subfamily and Tribe List

SubFamily Cerambycinae

Tribe Stenhomalini
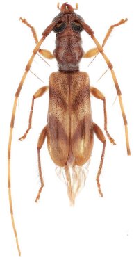
Stenhomalus v-fuscum Heller 1924

Photographer: Niisato
Collection Location: Babaeldao Island, Palau Islands
59336

130425