_Huedepohl_Huede_coll_Luzon_Mtn_prov_Philippines.jpg)
Specimen Type: holotype Sex: m Institution: ZSM Zoologische Staatssammlung, München, Germany Determiner: Entomofauna Zeitschrift für Entomologie Collection Location: Mountain Province, Luzon, Philippines 51236
|
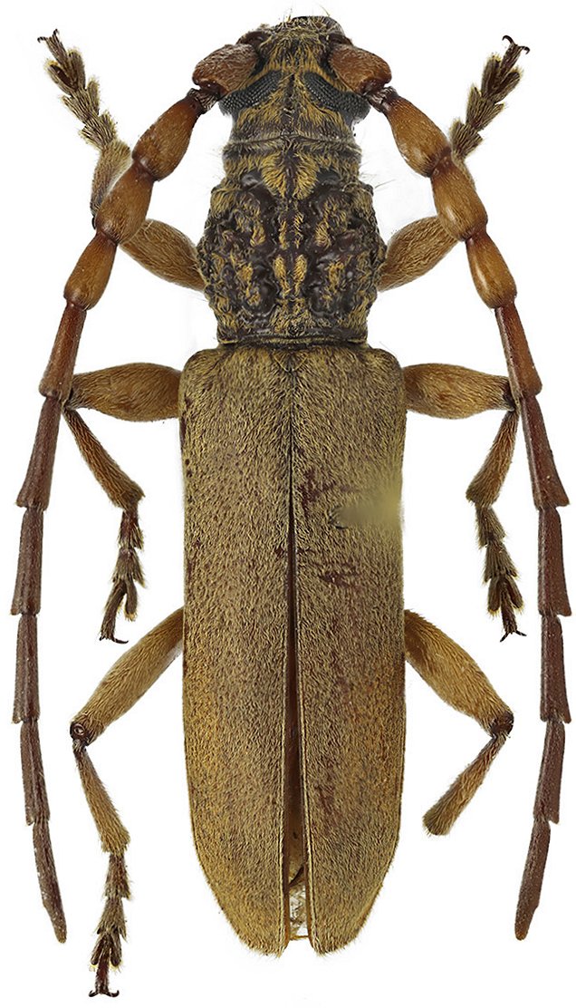
 Huedepohl ZSM Mountain Province, Luzon, Philippines Mirosh.jpg)
Specimen Type: holotype Sex: m Institution: ZSM Zoologische Staatssammlung, München, Germany Photographer: Alexandr Miroshnikov Collection Location: Mountain Province, Luzon, Philippines 79431
|
 Huedepohl ZSM Mountain Province, Luzon, Philippines Mirosh.jpg)
Specimen Type: paratype Sex: f Institution: ZSM Zoologische Staatssammlung, München, Germany Photographer: Alexandr Miroshnikov Collection Location: Mountain Province, Luzon, Philippines 79432
|

Photographer: Vitali Nagirnyi, Cerambycoidea Forum Collection Location: N Luzon, Philippines 51237
|
|