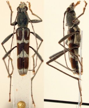
_Gressitt_Rond_BPBM_Nobuo_Ohbay.jpg)
Demonax alboantennatus Gressitt & Rondon Specimen Type: holotype Sex: f Institution: BPBM Bernice P. Bishop Museum, Honolulu, Hawaii, USA Photographer: Nobuo Ohbayashi Collection Location: Phou Khao Khoay, Vientiane Province, Laos 43335
|
 Pic Yunnan, China now reticollis XG.jpg)
Demonax mongtsenensis Pic Specimen Type: syntype © MNHN Institution: MNHN Museum of Natural History Paris, France Photographer: Xavier Gouverneur Collection Location: Yunnan, China 77147
|

Demonax alboantennatus Gressitt & Rondon Institution: NMNH United States National Museum, Washington, DC, USA Photographer: Steve Lingafelter Collection Location: Tam Dao, Vinh Phuc Province, Vietnam 37712
|

Demonax alboantennatus Gressitt & Rondon Institution: LGBC Larry G. Bezark Collection, Sacramento, California, USA Photographer: Larry G. Bezark Determiner: Cerambycoidea Forum, Francesco Vitali Collection Location: Phja-den, Cao Bang Province, Vietnam 40999
|

Demonax alboantennatus Gressitt & Rondon Institution: LGBC Larry G. Bezark Collection, Sacramento, California, USA Photographer: Larry G. Bezark Determiner: Cerambycoidea Forum, Francesco Vitali Collection Location: Phja-den, Cao Bang Province, Vietnam 41000
|

Photographer: Meiying Lin 41934
|

Demonax alboantennatus Gressitt & Rondon Photographer: Xavier Gouverneur, Cerambycoidea Forum Collection Location: Laos 43353
|

Demonax alboantennatus Gressitt & Rondon Photographer: Gerard Chemin, Cerambycoidea Forum Collection Location: Nantou, Taiwan 43354
|

Demonax alboantennatus Gressitt & Rondon Photographer: Pierre Haller, Cerambycoidea Forum Collection Location: Chiang Mai, Thailand 36408
|
|