_Pascoe_Viktora_coll_Ringlet_Perak_Malaysia.jpg)
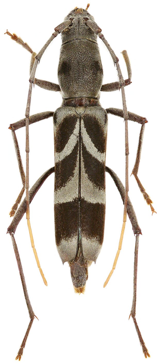
Sex: f Institution: Viktora Collection Photographer: Petr Viktora Collection Location: Ringlet, Perak, Malaysia 69971
|

Institution: JCPC Jim Cope Collection, San Jose, California, USA now at CSCA, Sacramento Photographer: Larry G. Bezark Determiner: Jim Cope Collection Location: Ban Van Eue, Vientiane Province, Laos 98719
|