New Search Family, Subfamily and Tribe List

SubFamily Cerambycinae

Tribe Clytini
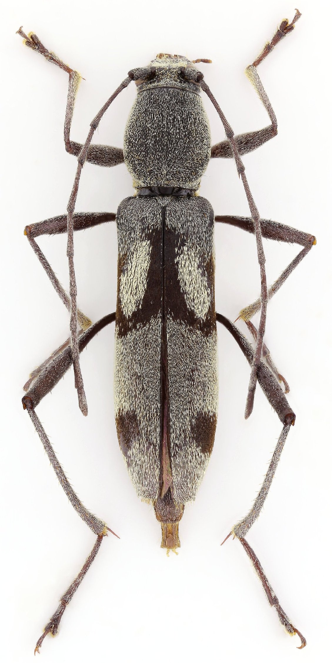
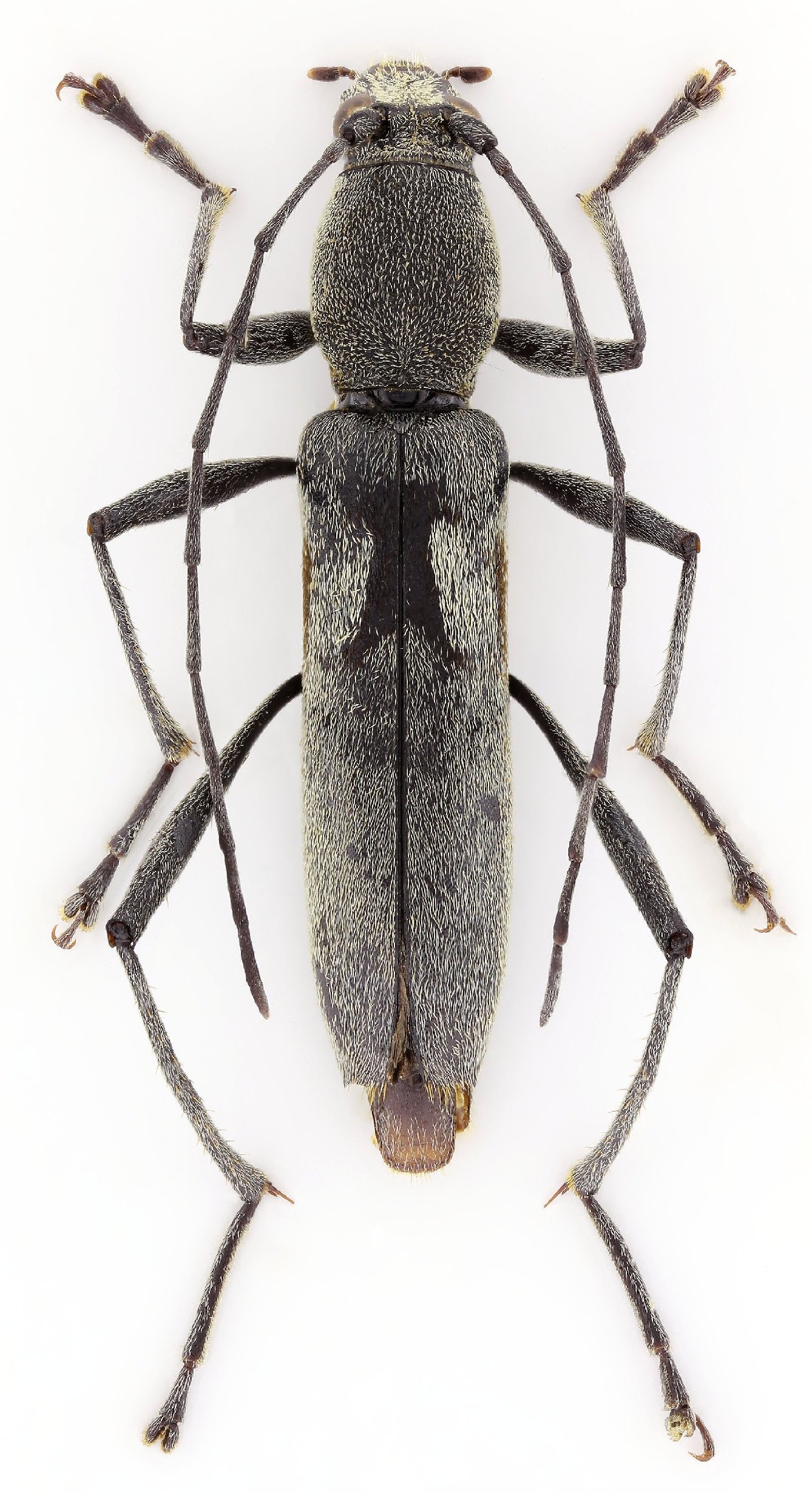
Demonax dimidiatus (Chevrolat, 1863)

Sex: m
Photographer: Petr Viktora
Collection Location: Tamil Nadu, India
90735


Sex: f
Photographer: Petr Viktora
Collection Location: Tamil Nadu, India
90736

130425