New Search Family, Subfamily and Tribe List

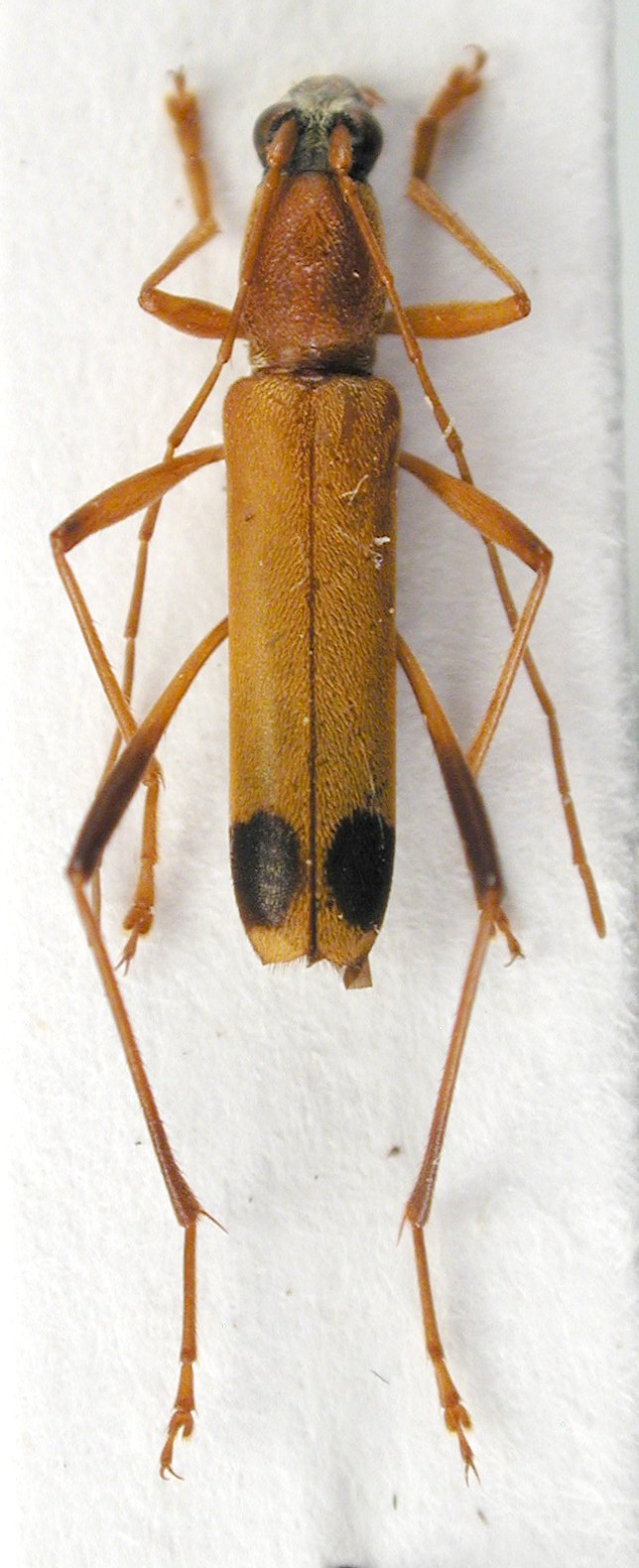
SubFamily Cerambycinae

Tribe Clytini
Rhaphuma rhea Gahan 1906

Institution: JCPC Jim Cope Collection, San Jose, California, USA now at CSCA, Sacramento
Photographer: Larry G. Bezark
Determiner: Andreas Weigel
Collection Location: Nilgiri Hills, 11km SE Kotagiri, Tamil Nadu, N India
99727

130425