_Gahan_BMNH_Nilgiri_Hills_KM.jpg)
Specimen Type: holotype Institution: BMNH British Museum Natural History, London, UK Photographer: Keita Matsumoto Collection Location: Nilgiri Hills, India 65833
|
_Gahan_BMNH_Nilgiri_Hills_KM.jpg)
Specimen Type: holotype Institution: BMNH British Museum Natural History, London, UK Photographer: Keita Matsumoto Collection Location: Nilgiri Hills, India 65834
|
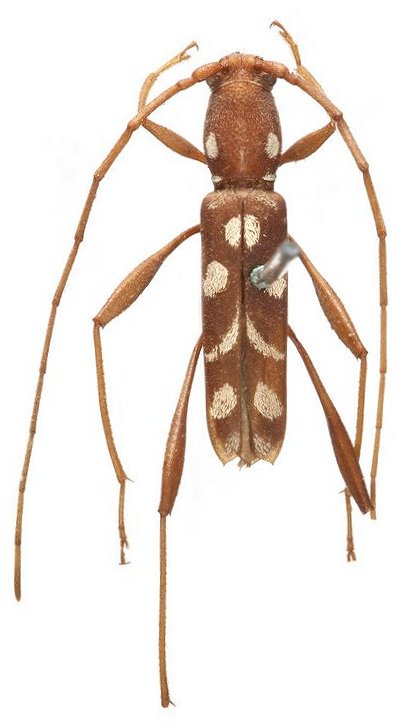
_Gahan_BMNH_Nilgiri_Hills_KM.jpg)
Specimen Type: holotype Institution: BMNH British Museum Natural History, London, UK Photographer: Keita Matsumoto Collection Location: Nilgiri Hills, India 65835
|

Institution: CAS California Academy of Sciences, San Francisco, CA, USA Photographer: Larry G. Bezark 35547
|
_Gahan_Tamil_Nadu_S_India_.jpg)
Sex: m Photographer: Petr Viktora Collection Location: Tamil Nadu, S India 71241
|
|