New Search Family, Subfamily and Tribe List

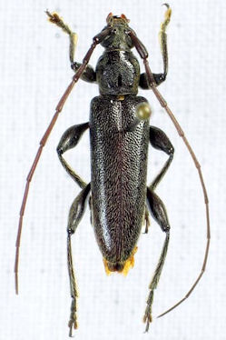
SubFamily Cerambycinae

Tribe Callidiopini
Ceresium aethiops Newman 1842

Photographer: Estan Cabigas
Collection Location: Mindanao, Philippines
34536

130425