New Search Family, Subfamily and Tribe List

SubFamily Cerambycinae

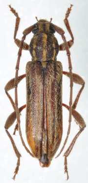
Tribe Hesperophanini
Aspitus seriatus Kolbe 1901

Photographer: Pierre Haller, Cerambycoidea Forum
Collection Location: Cameroon
45861

130425