New Search Family, Subfamily and Tribe List

SubFamily Cerambycinae

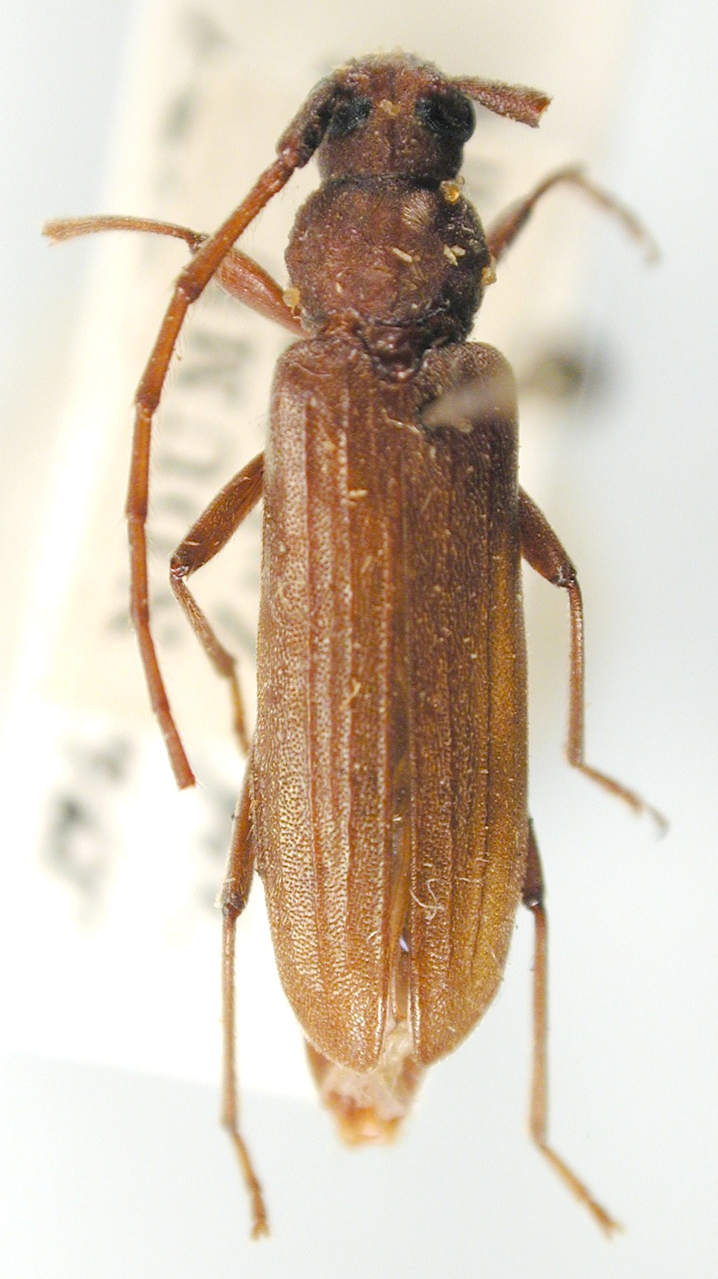
Tribe Oemini
Hypoeschrus aenescens Aurivillius 1908

Institution: JCPC Jim Cope Collection, San Jose, California, USA now at CSCA, Sacramento
Photographer: Larry G. Bezark
Determiner: Jim Cope
Collection Location: Ndumu Game Reserve, Kwa-Zulu, Natal, South Africa
99053

130425