New Search Family, Subfamily and Tribe List

SubFamily Lamiinae

Tribe Saperdini
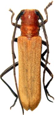
Spinoberea subspinosa (Pic, 1922)

Photographer: Meiying Lin
43076


Photographer: Steve Lingafelter
Collection Location: Vietnam
61032

130425