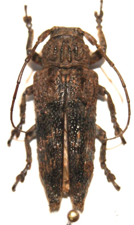
 Pesarini Sabbadini Sichuan, China XG.jpg)
Specimen Type: holotype Sex: m Institution: Pesarini Collection Photographer: Xavier Gouverneur, Cerambycoidea Forum Collection Location: Mt Zhu Yu, Sichuan, China 89437
|
 Pesar Sabbad Guangdong, China AS det XG.jpg)
Sex: f Photographer: Andre Skale, Cerambycoidea Forum Determiner: Xavier Gouverneur, Cerambycoidea Forum Collection Location: Guangdong, China 89438
|