
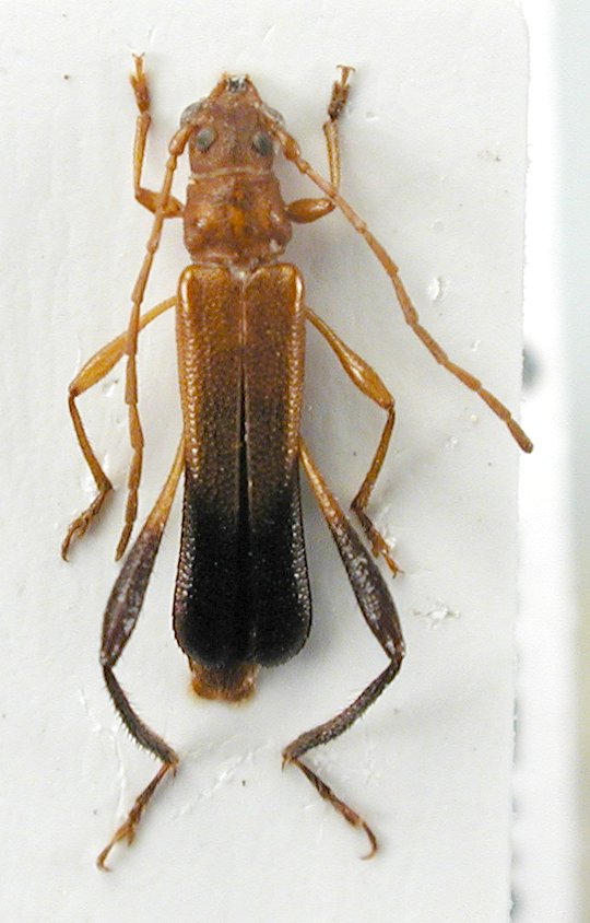
Institution: JCPC Jim Cope Collection, San Jose, California, USA now at CSCA, Sacramento Photographer: Larry G. Bezark Determiner: Andreas Weigel Collection Location: Chiang Mai, Thailand 99068
|

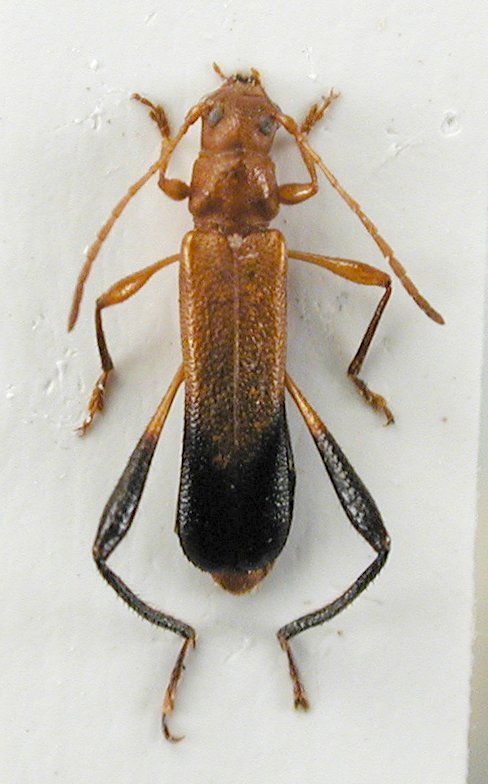
Institution: JCPC Jim Cope Collection, San Jose, California, USA now at CSCA, Sacramento Photographer: Larry G. Bezark Determiner: Andreas Weigel Collection Location: Chiang Mai, Thailand 99069
|