
Institution: JCPC Jim Cope Collection, San Jose, California, USA now at CSCA, Sacramento Photographer: Larry G. Bezark Determiner: Jim Cope Collection Location: Kao-i, Taoyuan Prefecture, Taiwan 99947
|

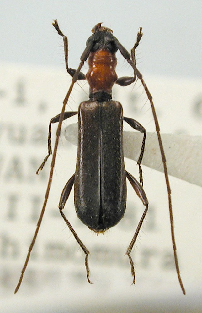
Institution: JCPC Jim Cope Collection, San Jose, California, USA now at CSCA, Sacramento Photographer: Larry G. Bezark Determiner: Hajime Nara Collection Location: Lala-Shan, Taoyuan Prefecture, Taiwan 99948
|