_Gressitt_CAS_3996_LGB.jpg)
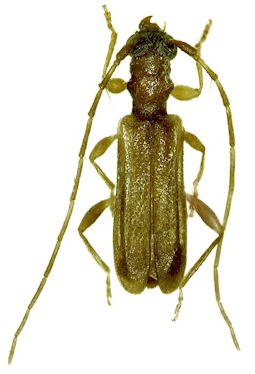
Stenhomalus lighti Gressitt Specimen Type: holotype Institution: CAS California Academy of Sciences, San Francisco, CA, USA Photographer: Larry G. Bezark Collection Location: Lake Towada, Honshu Prefecture, Japan 61100
|
_Tsherepanov_now_S._lighti_Gressitt.jpg)
Stenhomalus vulcanus Tsherepanov Specimen Type: holotype Sex: f Institution: Siberian Zoological Museum Collection Location: Kunashir Island, Kurile Islands, Russia 61125
|