New Search Family, Subfamily and Tribe List

SubFamily Cerambycinae

Tribe Stenhomalini
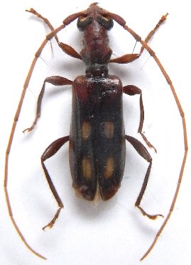
Stenhomalus fenestratus White 1855

Institution: CAS California Academy of Sciences, San Francisco, CA, USA
Photographer: Larry G. Bezark
61090


Photographer: Xavier Gouverneur, Cerambycoidea Forum
Collection Location: Hua Phan, NE Laos
61091

130425