_Pic_MNHN_Mt_Mauson_Tonkin_Vietnam_now_Acrycyrt_Azadeh_Taghavian.jpg)
Mausaridaeus argenteofasciatus Pic Specimen Type: holotype Sex: m Institution: MNHN Museum of Natural History Paris, France Photographer: Azadeh Taghavian Collection Location: Mt Mauson, Tonkin, Vietnam 71088
|
_Pic_MNHN_Mt_Mauson_Tonkin_Vietnam_now_Acrycyrt_Azadeh_Taghavian.jpg)
Mausaridaeus argenteofasciatus Pic Specimen Type: holotype Sex: m Institution: MNHN Museum of Natural History Paris, France Photographer: Azadeh Taghavian Collection Location: Mt Mauson, Tonkin, Vietnam 71089
|
 Pic MNHN Mt Mauson, Tonkin, Vietnam now Acrocyrtidus argent.jpg)
Mausaridæus diversinotatus Pic Specimen Type: syntype © MNHN Institution: MNHN Museum of Natural History Paris, France Photographer: Gerard Chemin Collection Location: Mt Mauson, Tonkin, Vietnam 77188
|
_Pic_MNHN_Mt_Mauson_Tonkin_Vietnam_now_Acrycyrt_Azadeh_Taghavian.jpg)
Specimen Type: syntype Sex: f Institution: MNHN Museum of Natural History Paris, France Photographer: Azadeh Taghavian Collection Location: Mt Mauson, Tonkin, Vietnam 71097
|
_Pic_MNHN_Mt_Mauson_Tonkin_Vietnam_now_Acrycyrt_Azadeh_Taghavian.jpg)
Specimen Type: syntype Sex: f Institution: MNHN Museum of Natural History Paris, France Photographer: Azadeh Taghavian Collection Location: Mt Mauson, Tonkin, Vietnam 71098
|
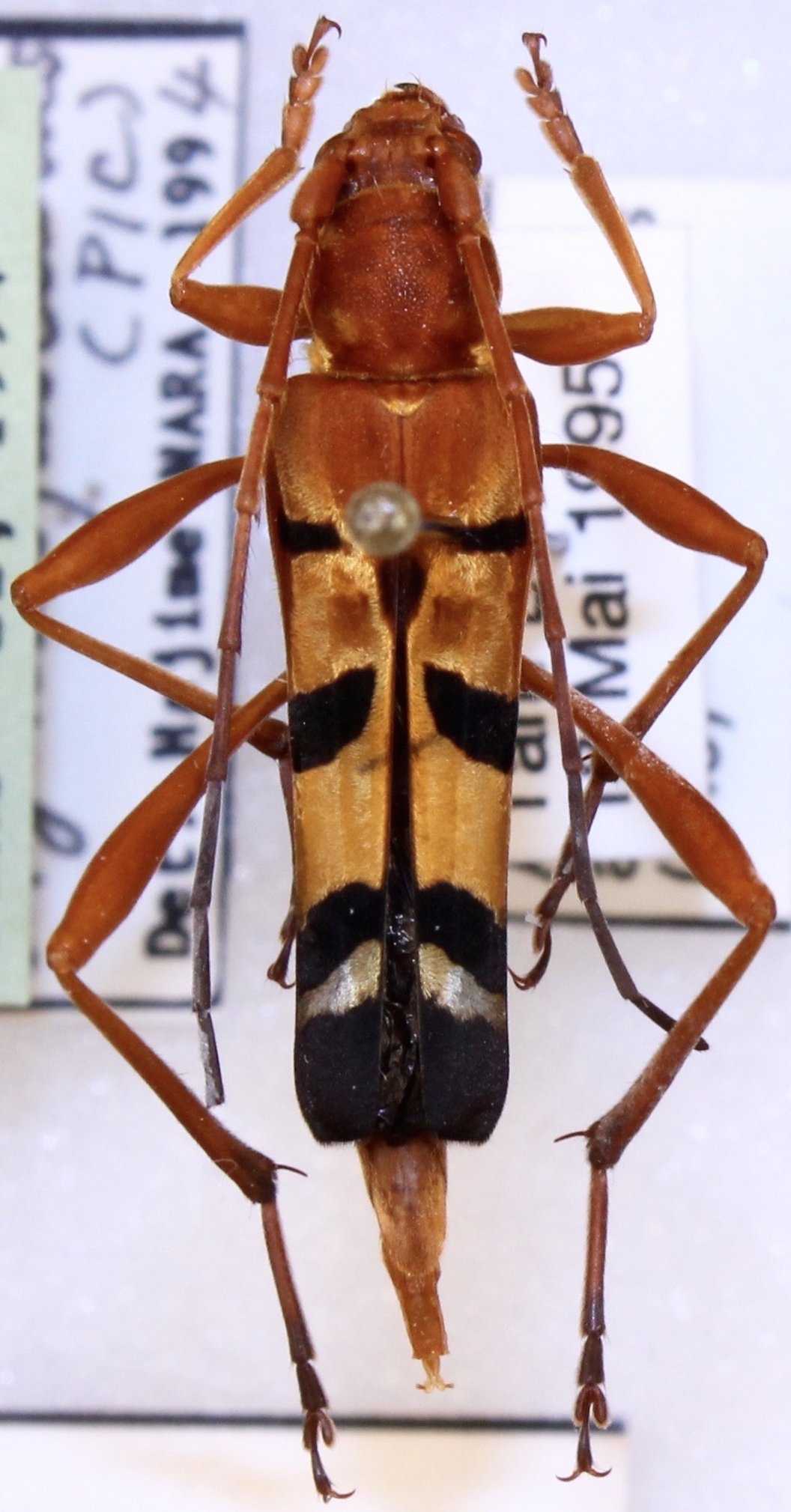
_(Pic)_Tam_Dao_Vietnam_SWL.jpg)
Sex: m Institution: NMNH United States National Museum, Washington, DC, USA Photographer: Steve Lingafelter Collection Location: Tam Dao, Vinh Phuc Province, Vietnam 37560
|
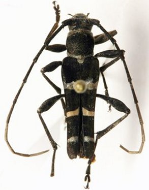
_(Pic)_Phja-Den_Vietnam_SWL.jpg)
Sex: f Institution: NMNH United States National Museum, Washington, DC, USA Photographer: Steve Lingafelter Collection Location: Phja-Den, Cao Bang Province, Vietnam 37561
|

Sex: m Institution: LGBC Larry G. Bezark Collection, Sacramento, California, USA Photographer: Larry G. Bezark Collection Location: Tam Dao, Vinh Phuc Province, Vietnam 40900
|

Photographer: Gontran Drouin, Cerambycoides Forum Collection Location: Vietnam 64438
|
_(Pic)_Vinh_Phuc_Province_Vietnam.jpg)
Sex: f Photographer: Niisato Collection Location: Vinh Phuc Province, Vietnam 71090
|
_(Pic)_Vinh_Phuc_Province_Vietnam.jpg)
Sex: f Photographer: Niisato Collection Location: Vinh Phuc Province, Vietnam 71091
|
|