_Holzschuh_FBVA_107.jpg)
Specimen Type: holotype Sex: f Institution: Holzschuh Collection Determiner: Schrift. Forstlichen Bundesversuchsanstalt Collection Location: Lijiang, Yulongshan, Bai Shui, Yunnan, China 45319
|

Photographer: Andre Skale, Cerambycoidea Forum Determiner: Xavier Gouverneur, Cerambycoidea Forum Collection Location: Hua Phan, NE Laos 64753
|

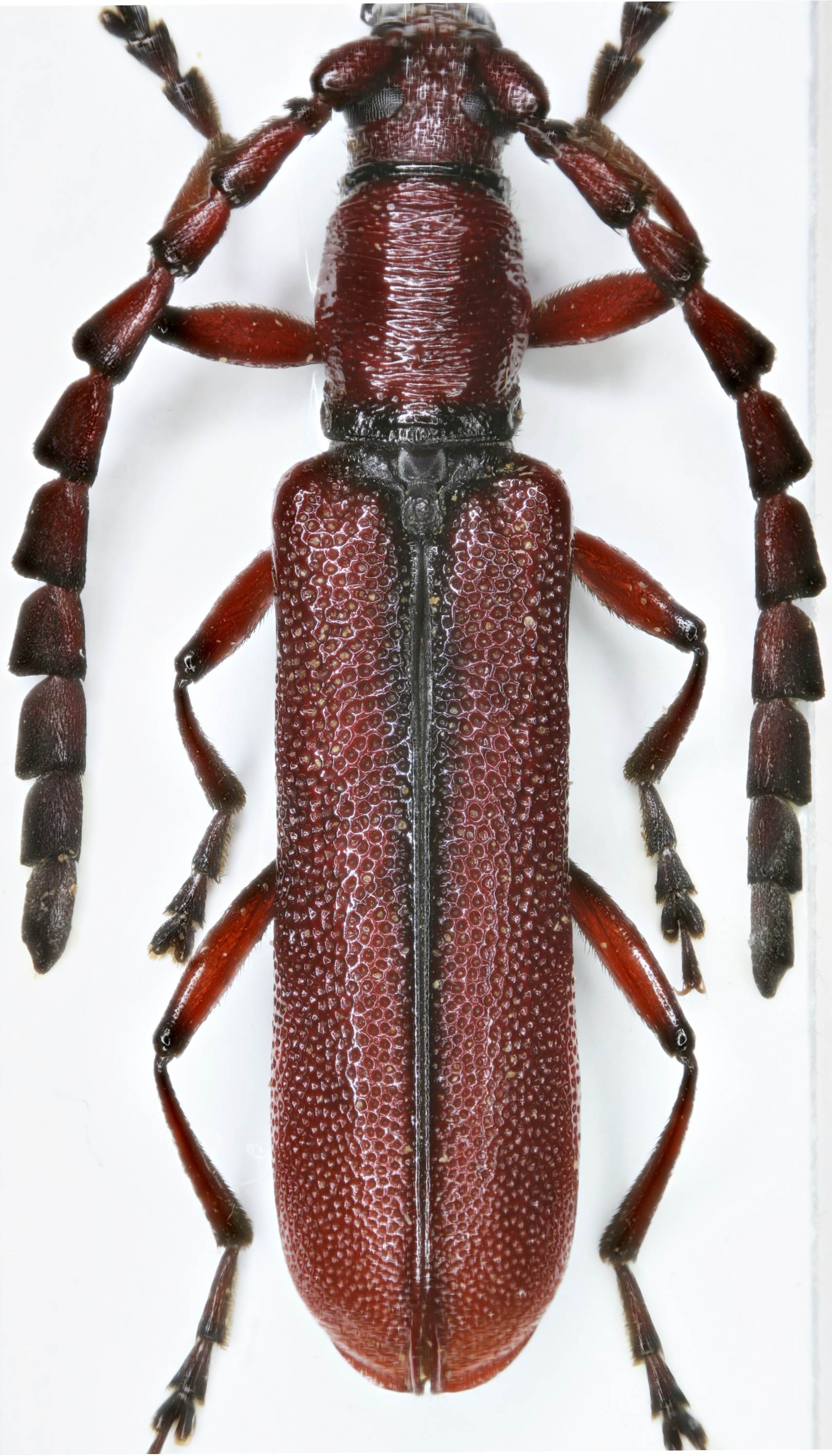
Institution: LGBC Larry G. Bezark Collection, Sacramento, California, USA Photographer: Larry G. Bezark Collection Location: Deqin, Yunnan, China 49547
|
|