New Search Family, Subfamily and Tribe List

SubFamily Cerambycinae

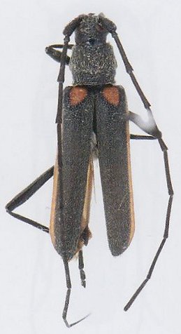
Tribe Trachyderini Trachyderina
Anoplistes halodendri pirus (Arakawa, 1932)

Sex: m
Photographer: Meiying Lin
Collection Location: Qinling Mountains, China
73334

130425