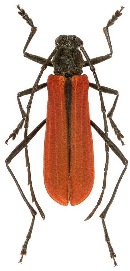
 Pic MNHN Ho-Chan, China now Amarysius Roman.jpg)
Anoplistes suturalis Pic Specimen Type: holotype Sex: f Institution: MNHN Museum of Natural History Paris, France Photographer: Roman Hergovits Collection Location: Ho-Chan, China 80323
|
 Beijing Municipality, China Roman Hergovits.jpg)
Photographer: Roman Hergovits Collection Location: Beijing Municipality, China 80157
|