New Search Family, Subfamily and Tribe List

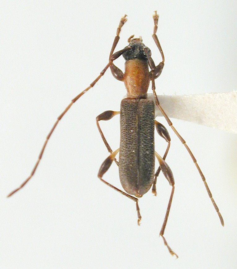
SubFamily Cerambycinae

Tribe Obriini
Pseudiphra elegans (Villiers & Chûjô, 1970)

Institution: JCPC Jim Cope Collection, San Jose, California, USA now at CSCA, Sacramento
Photographer: Larry G. Bezark
Determiner: Jim Cope
Collection Location: Banha, Ishigaka Islands, Japan
99615


Collection Location: Japan
58054

130425