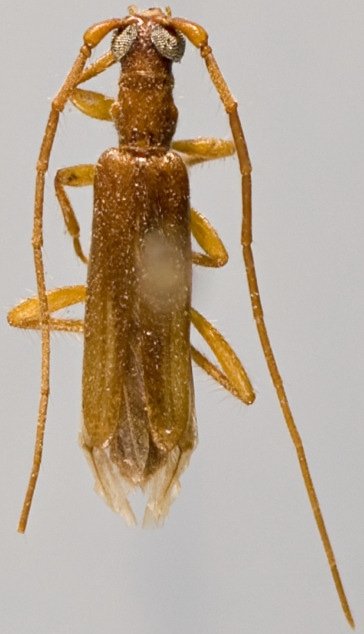
_Escalera_MNCN_Essaouira_Mogador_Marruecos_Morocco_Trocoli.jpg)
Specimen Type: holotype Sex: m Institution: MNCN Museo Nacional de Ciencias Naturales, Madrid, Spain Photographer: Sergei Troccoli Collection Location: Essaouira, Mogador, Marruecos, Morocco 75108
|
_Escalera_MNCN_Essaouira_Mogador_Marruecos_Morocco_Trocoli.jpg)
Specimen Type: holotype Sex: m Institution: MNCN Museo Nacional de Ciencias Naturales, Madrid, Spain Photographer: Sergei Troccoli Collection Location: Essaouira, Mogador, Marruecos, Morocco 75109
|