_Tsherepanov_=_Leptepania_okunevi_Shabliovsky.jpg)
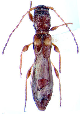
Molorchus incognitus Tsherepanov Specimen Type: lectotype Sex: f Institution: SZMN Siberian Zoological Museum, Institute of Systematic and Ecology of Animals, Novosibirsk Collection Location: Primorskii, Russia 41580
|
_(Shabl)_Primorsky_Terr_Kamen-Rybolov_Danilevsky.jpg)
Sex: f Determiner: Danilevsky Collection Location: Kamen-Rybolov, Primorsky Territory, Russia 51667
|