New Search Family, Subfamily and Tribe List

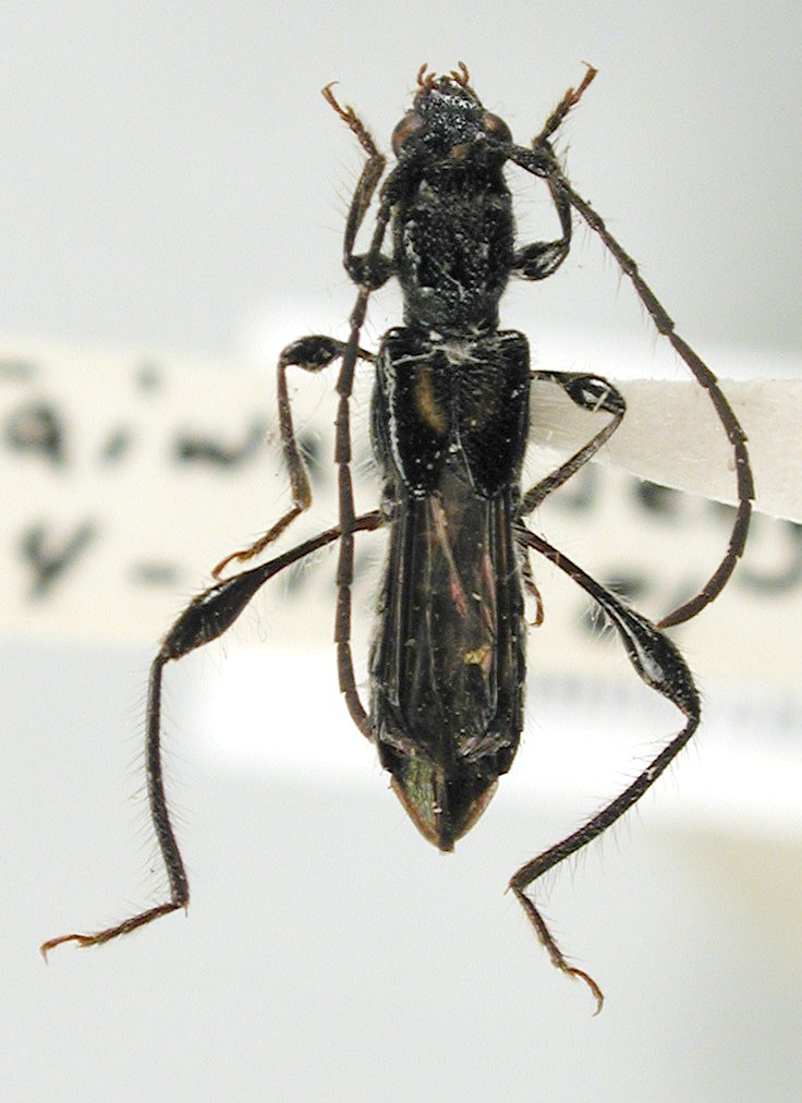
SubFamily Cerambycinae

Tribe Molorchini
Molorchus kiyoyamai Hayashi 1974

Institution: JCPC Jim Cope Collection, San Jose, California, USA now at CSCA, Sacramento
Photographer: Larry G. Bezark
Determiner: Jim Cope
Collection Location: Sengping, Taiwan
99125

130425