 Demelt MLZU Tenerife, Canary Islands.jpg)
Hesperoferus canariensis Demelt Specimen Type: paratype Institution: MZLU Biological Museum Lund University, Lund, Sweden Collection Location: Tenerife, Canary Islands 96739
|
 Demelt MLZU Tenerife, Canary Islands.jpg)
Hesperoferus canariensis Demelt Specimen Type: paratype Institution: MZLU Biological Museum Lund University, Lund, Sweden Collection Location: Tenerife, Canary Islands 96740
|
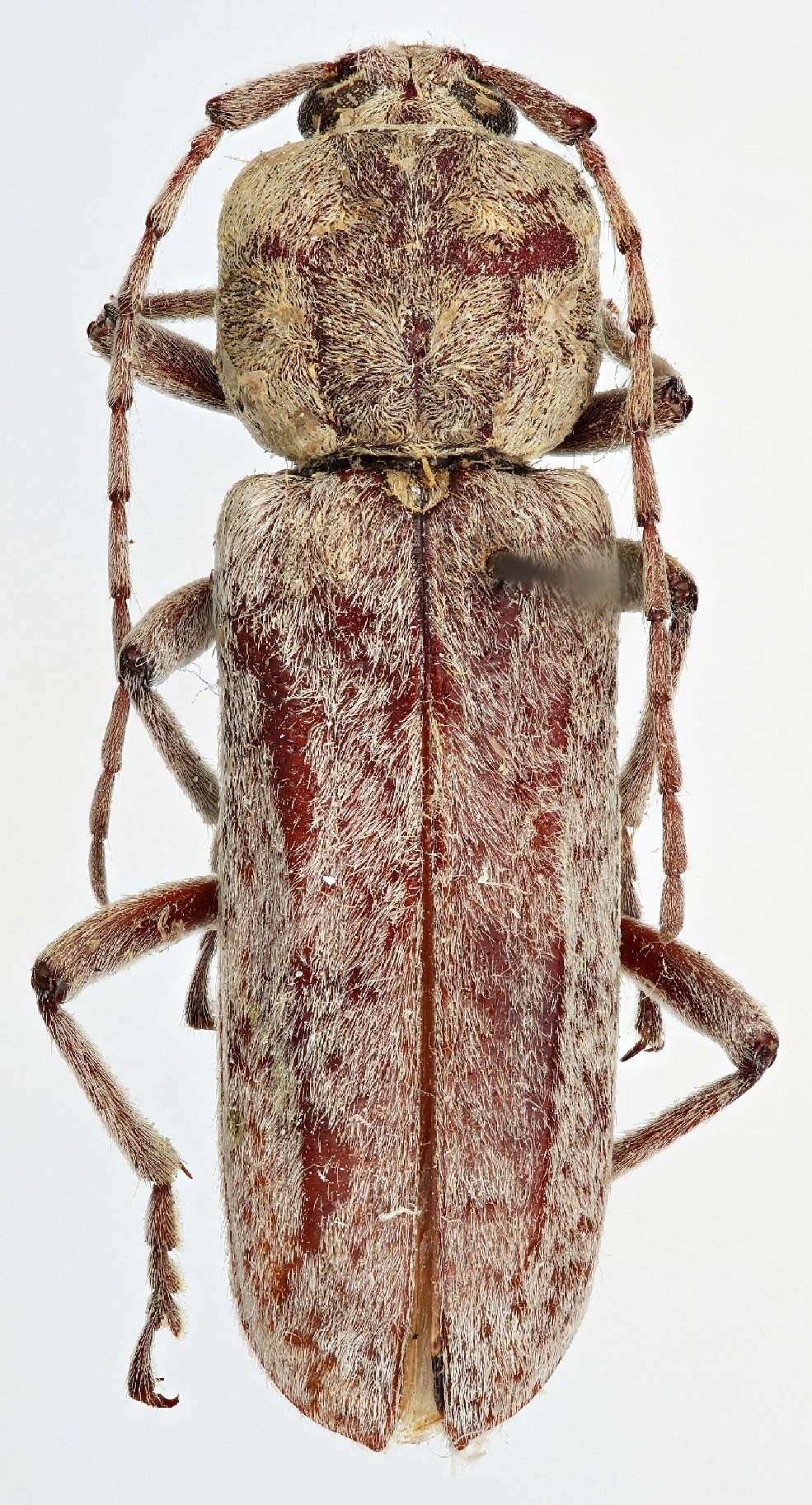
 Demelt MLZU Tenerife, Canary Islands.jpg)
Hesperoferus canariensis Demelt Specimen Type: paratype Institution: MZLU Biological Museum Lund University, Lund, Sweden Collection Location: Tenerife, Canary Islands 96741
|
 (Brulle) Bosque de La Esperanza, Tenerife D Navratil.jpg)
Sex: mf Photographer: David Navratil Collection Location: Bosque de La Esperanza, Tenerife, Canary Islands 77648
|

Institution: EMEC Essig Museum of Entomology, Berkeley, CA, USA Photographer: Larry G. Bezark Collection Location: Pico de Telde, Tenerife, Canary Islands 50837
|
_Canary_Islands_Ringenbach.jpg)
Photographer: Jean-Claude Ringenbach Collection Location: Canary Islands 50838
|
 Canary Islands Slama.jpg)
Photographer: Milan Slama Collection Location: Canary Islands 75843
|
 Canary Islands Slama.jpg)
Photographer: Milan Slama Collection Location: Canary Islands 75844
|
|