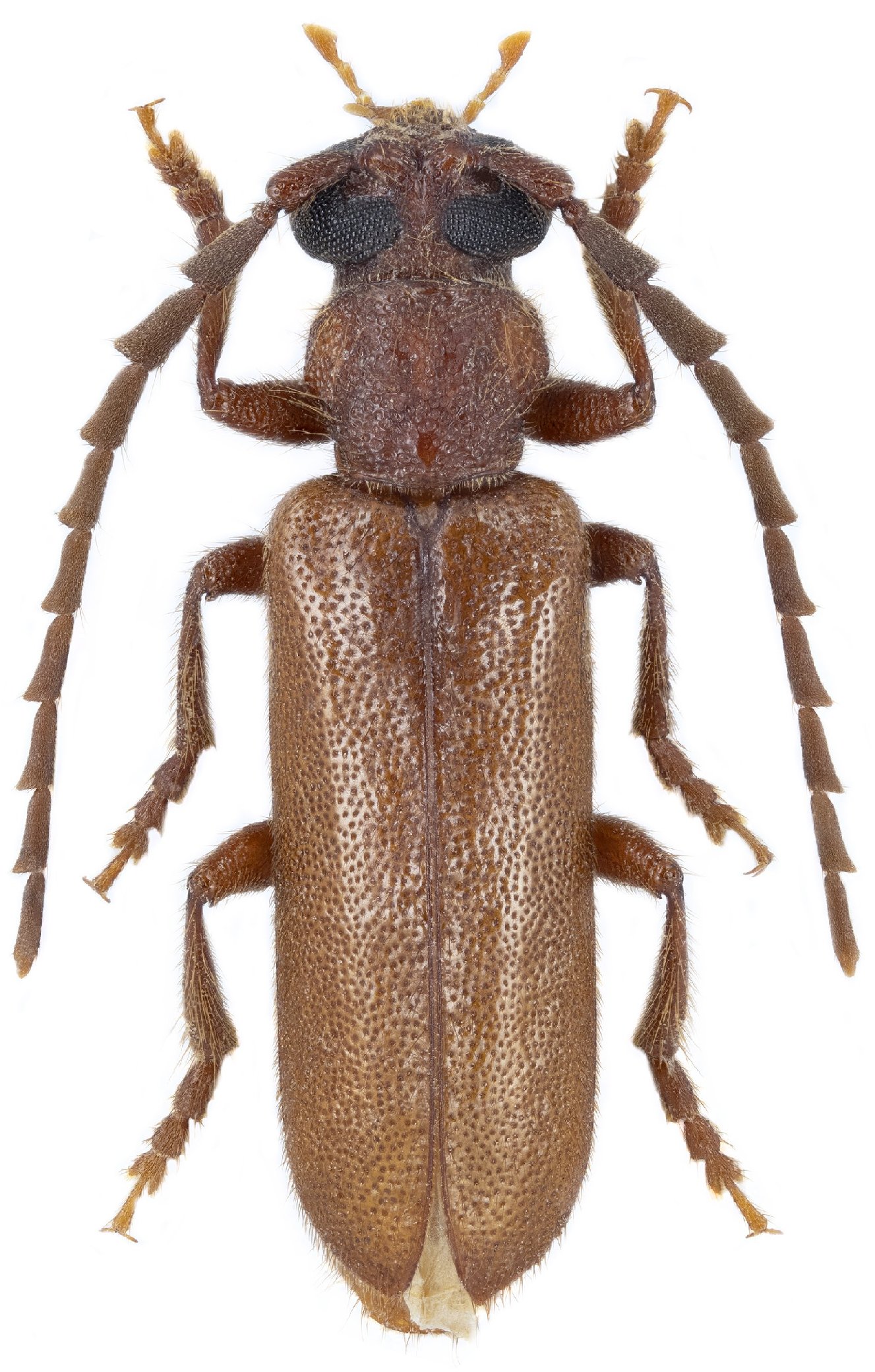
_Sinai_Egypt_Adlbauer.jpg)
Photographer: Karl Adlbauer Collection Location: Sinai, Egypt 73893
|
_Sinai_Egypt_Adlbauer.jpg)
Photographer: Karl Adlbauer Collection Location: Sinai, Egypt 73894
|
_Sinai_Egypt_Adlbauer.jpg)
Photographer: Karl Adlbauer Collection Location: Sinai, Egypt 73895
|

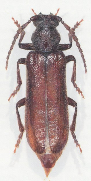
Photographer: Navratil & Hoskovec Collection Location: Ras Muhammad NP, Sharm-El-Sheikh, S Sinai Governerorate, Egypt 79125
|
|