
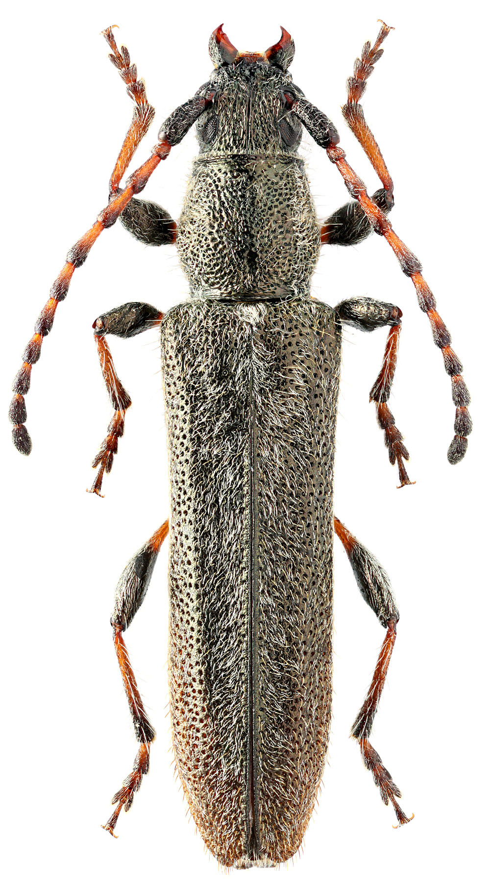
Photographer: Udo Schmidt Collection Location: San Gimignano, Italy 36387
|
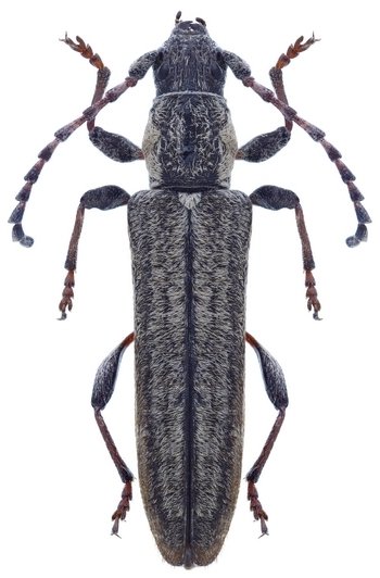
 (Oliv) vic Guberlya village, Orenberg Region, Volga Fed Dist, Russia Makarov.jpg)
Sex: m Photographer: Kirill V. Makarov Collection Location: vic Guberlya village, Orenberg Region, Volga Fed District, Russia 36388
|
_Gilon_IsraelSlutsky.jpg)
Photographer: Aleksandr Slutsky Collection Location: Gilon, Israel 75367
|
_Kziv_River_Israel_Slutsky.jpg)
Photographer: Aleksandr Slutsky Collection Location: Kziv River, Upper Galilee, Israel 75368
|
|