
Photographer: Robert Perger Collection Location: Colombia 27654
|
 (Buquet) BMNH KM.jpg)
Sex: m Institution: BMNH British Museum Natural History, London, UK Photographer: Keita Matsumoto Collection Location: Colombia 79641
|
 (Buquet) BMNH KM.jpg)
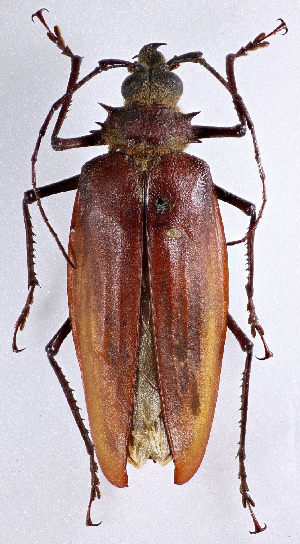
Sex: f Institution: BMNH British Museum Natural History, London, UK Photographer: Keita Matsumoto Collection Location: Colombia 79642
|
 BMNH KM.jpg)
Sex: f Institution: BMNH British Museum Natural History, London, UK Photographer: Keita Matsumoto Collection Location: Colombia 79643
|
|