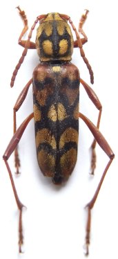
 Pic MNHN Yunnan, China XG.jpg)
Specimen Type: paralect © MNHN Institution: MNHN Museum of Natural History Paris, France Photographer: Xavier Gouverneur Collection Location: Yunnan, China 77313
|

Photographer: Andre Gorodinski Collection Location: Sichuan Province, China 66729
|

Photographer: Xavier Gouverneur, Cerambycoidea Forum Collection Location: Zhuowagong, Chayu, Xizang Province, China 66730
|
|