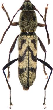
_Gressitt_Rond_BPBM_Nobuo_Ohbay.jpg)
Specimen Type: holotype Sex: f Institution: BPBM Bernice P. Bishop Museum, Honolulu, Hawaii, USA Photographer: Nobuo Ohbayashi Collection Location: Pakkading, Borikhane Province, Laos 45510
|

Photographer: Xavier Gouverneur, Cerambycoidea Forum Collection Location: Hua Phan, N Laos 66725
|

Institution: JCPC Jim Cope Collection, San Jose, California, USA now at CSCA, Sacramento Photographer: Larry G. Bezark Determiner: Dieter Dauber Collection Location: Wiang Pa Pao, Chiang Rai, Thailand 100201
|

Photographer: Meiying Lin 43135
|
|