New Search Family, Subfamily and Tribe List

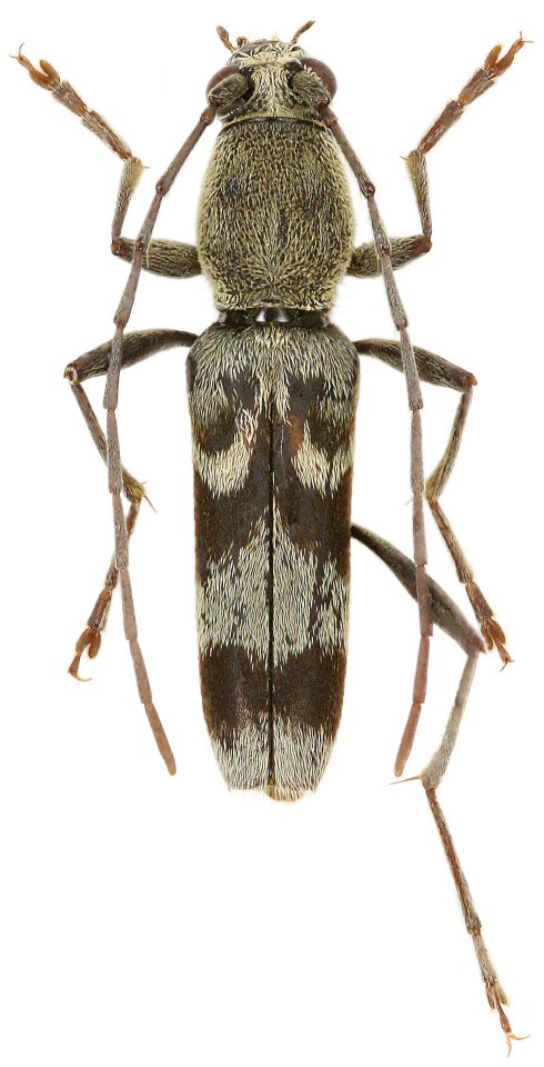
SubFamily Cerambycinae

Tribe Clytini
Demonax curvofasciatus Gressitt 1939

Sex: m
Institution: Viktora Collection
Photographer: Petr Viktora
Collection Location: Henan Province, China
75055


Demonax triarticulodilatatus Hayashi
37065

130425