New Search Family, Subfamily and Tribe List

SubFamily Cerambycinae

Tribe Clytini
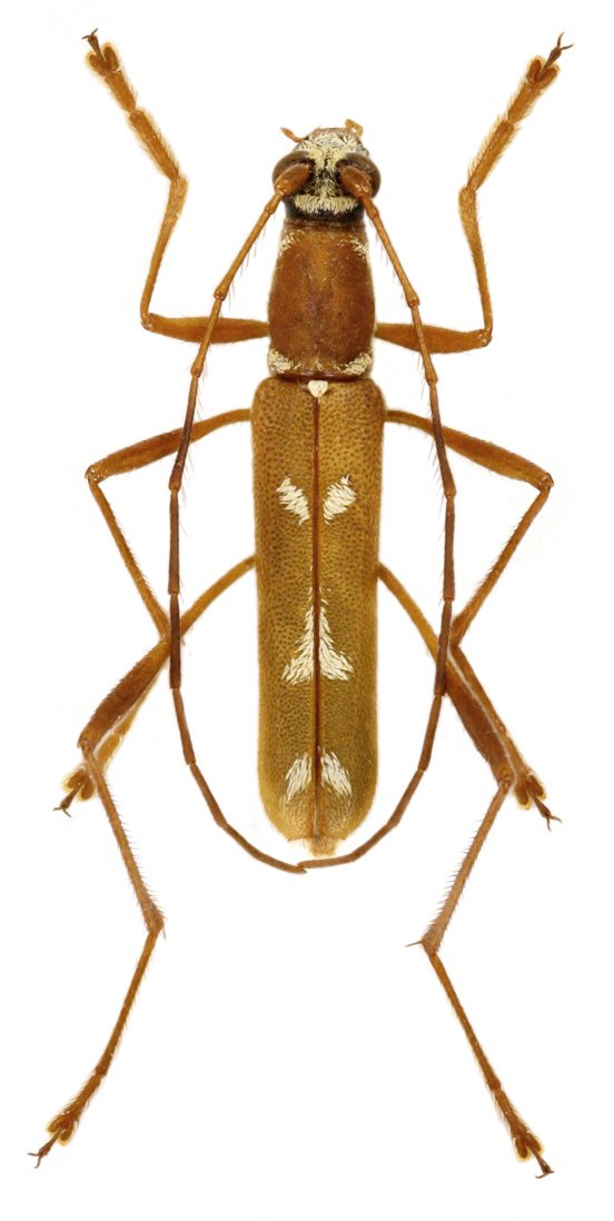
Rhaphuma nishidai Hayashi & Makihara 1981

Institution: CAS California Academy of Sciences, San Francisco, CA, USA
Photographer: Larry G. Bezark
60074


Institution: Viktora Collection
Photographer: Petr Viktora
Collection Location: W Bengal, India
81283

130425