
Institution: LGBC Larry G. Bezark Collection, Sacramento, California, USA 60006
|

Institution: LGBC Larry G. Bezark Collection, Sacramento, California, USA Collection Location: Mt Hyonosen, Hyogo, Japan 60011
|

Institution: CAS California Academy of Sciences, San Francisco, CA, USA 60012
|

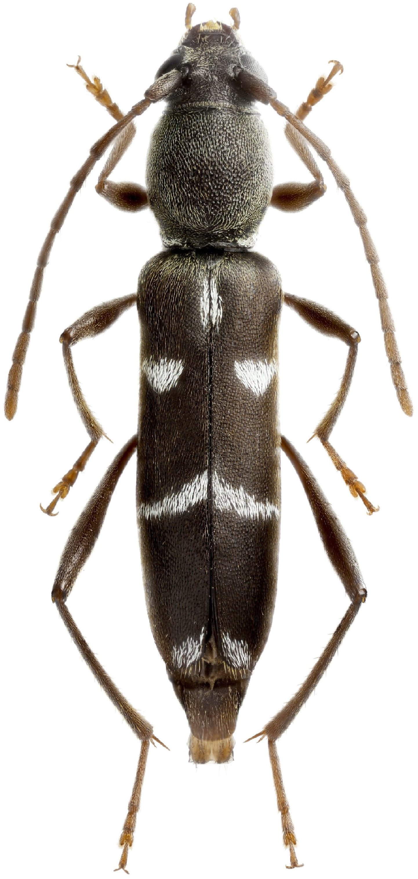
Rhaphuma misellus Bates Institution: CAS California Academy of Sciences, San Francisco, CA, USA Photographer: Larry G. Bezark 60069
|
 (Bates) Listvennichnaya river, Borisovskoye plateau, Primorsky krai, Russian Far East Makarov.jpg)
Sex: f Photographer: Kirill V. Makarov Collection Location: Listvennichnaya riv, Borisovskoye plateau, Primorsky krai, Russia (FE) 79989
|
|