_Holzchuh_Nepal.jpg)
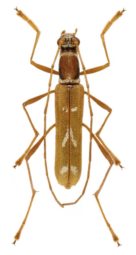
Specimen Type: paratype Sex: f Institution: Holzschuh Collection Determiner: Entomologica Basiliensa Collection Location: Central Nepal 59968
|

Institution: Viktora Collection Photographer: Petr Viktora Collection Location: Koshi, E Nepal 81281
|

Institution: LGBC Larry G. Bezark Collection, Sacramento, California, USA Photographer: Larry G. Bezark Collection Location: Pokhara, Central Nepal 49548
|
|