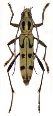
_Gressitt_Rond_BPBM_Nobuo_Ohbay.jpg)
Specimen Type: holotype Sex: m Institution: BPBM Bernice P. Bishop Museum, Honolulu, Hawaii, USA Photographer: Nobuo Ohbayashi Collection Location: Ban Van Heua, Vientiane Province, Laos 45353
|
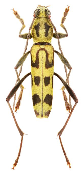
_CAS.jpg)
Specimen Type: paratype Institution: CAS California Academy of Sciences, San Francisco, CA, USA Photographer: Larry G. Bezark 59964
|
_Gressitt_Rondon_Laos_Xavier.jpg)
Sex: f Photographer: Xavier Gouverneur, Cerambycoidea Forum Collection Location: Laos 59965
|

Photographer: Xavier Gouverneur, Cerambycoidea Forum Collection Location: Chiang Mai, Thailand 59966
|
_Gressitt_Rondon_Chiang_Rai_Province_N_Thailand_Viktora_coll_pic.jpg)
Sex: m Institution: Viktora Collection Photographer: Petr Viktora Collection Location: Chiang Rai Province, N Thailand 58792
|
_Gressitt_Rondon_Hua_Phan_Province_NE_Laos_Viktora_coll_pic.jpg)
Sex: f Institution: Viktora Collection Photographer: Petr Viktora Collection Location: Hua Phan Province, NE Laos 58793
|

Photographer: Meiying Lin 43041
|
|