_Tippmann_USNM.jpg)
Plagionotus detritus ab. Freyi Tippmann Specimen Type: holotype Sex: f Institution: NMNH United States National Museum, Washington, DC, USA Photographer: Steve Lingafelter Collection Location: Forst Dubrow, Brandenburg, Germany 57076
|
_Tippmann_Czechoslovakia_USNM.jpg)
Plagionotus detritus ab. Kulzeri Tippmann Specimen Type: holotype Sex: f Institution: NMNH United States National Museum, Washington, DC, USA Photographer: Steve Lingafelter Collection Location: Hanau, Hessen, Germany 57077
|
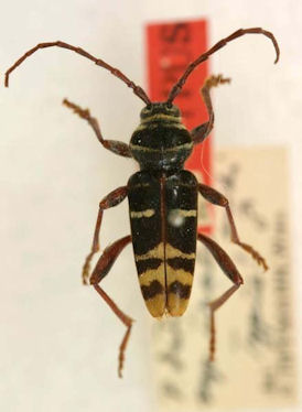
_Tippmann_USNM.jpg)
Plagionotus detritus Tippmann Specimen Type: holotype Sex: f Institution: NMNH United States National Museum, Washington, DC, USA Photographer: Steve Lingafelter Collection Location: Trencin, Slovakia 57080
|
_Tippmann_USSR_USNM.jpg)
Plagionotus detritus Tippmann Specimen Type: holotype Sex: m Institution: NMNH United States National Museum, Washington, DC, USA Photographer: Steve Lingafelter Collection Location: Ufa, Tcheliabinsk (Ural), Russia 57081
|
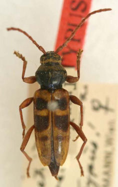
_Tippmann_Czechoslovakia_USNM.jpg)
Plagionotus detritus ab curvatofasciata Tippmann Specimen Type: holotype Sex: m Institution: NMNH United States National Museum, Washington, DC, USA Photographer: Steve Lingafelter Collection Location: Forst Dubrow, Brandenburg, Germany 57074
|

Institution: LGBC Larry G. Bezark Collection, Sacramento, California, USA Photographer: Larry G. Bezark 57075
|
 (Linn) Krivoklatsko Protected Area, Central Bohemia, Czech Republic Nav Hosko.jpg)
Sex: f Photographer: Navratil & Hoskovec Collection Location: Krivoklatsko Protected Area, Central Bohemia, Czech Republic 79877
|
|